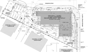
Treehouse Studios is a new low-rise condo development by Karmina Developments. Prices estimated to be starting from the $400,000s and will feature 4 to 7 storeys. Treehouse Studios will be walking distance to Cedar Valley Conservation Area and Durham College including Ontario Tech University. The development is also nearby highways HWY 407 and HWY 412 and transit such as Oshawa GO Station. Treehouse Studios is estimated to be completed in 2023 and will be located on 1664 Simcoe Street North at the Samac neighbourhood in Oshawa.